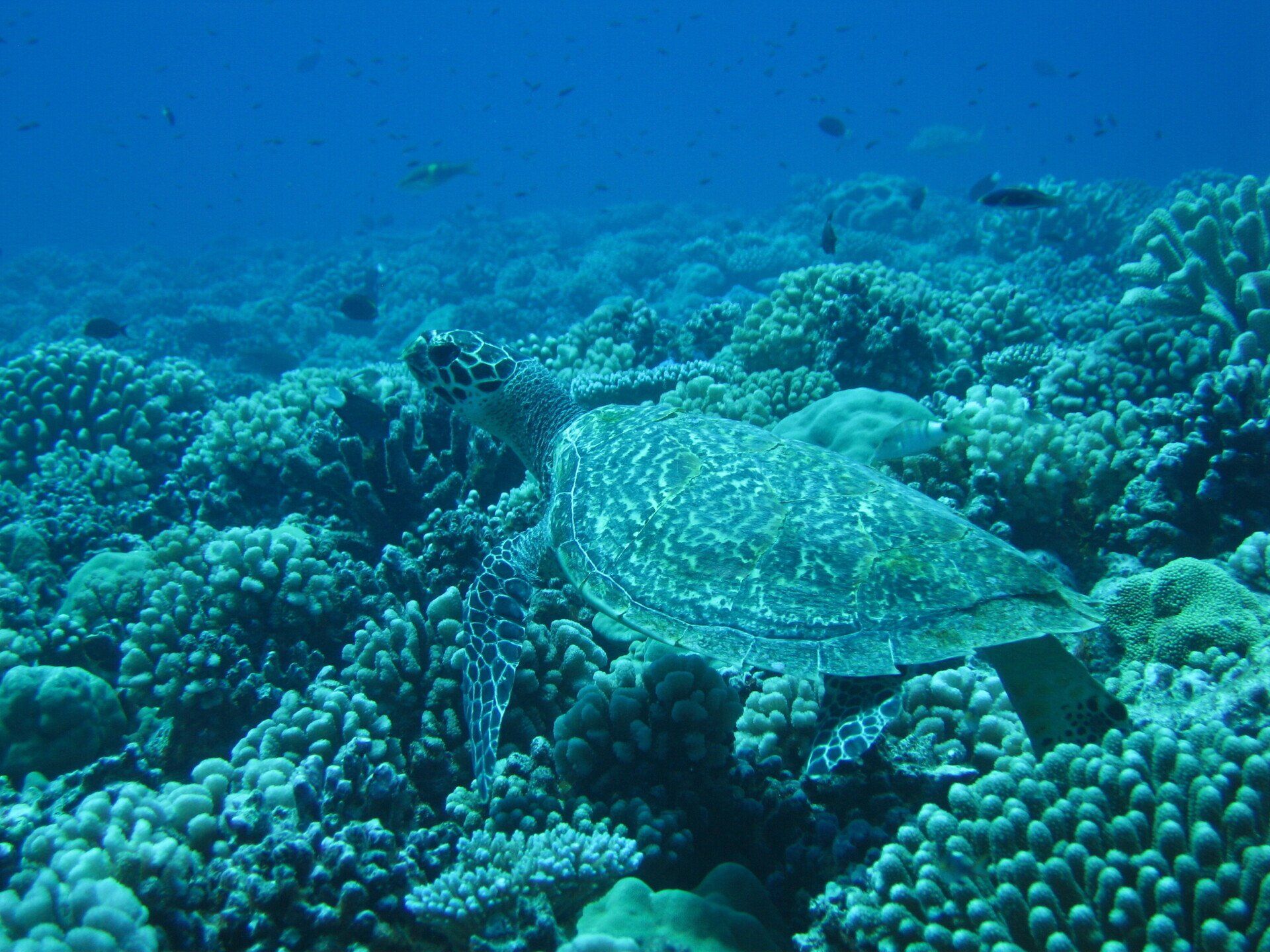
Projet tortues marines
Sauvegarde de la tortue verte et de la tortue imbriquéeen Polynésie Française et au Sri Lanka.
Difficultés
Valeur
Etude des populations
Depuis 2005, nous sommes investis sur le terrain à Bora Bora pour le recensement et l'études des populations de tortues marines sur les Iles-Sous-Le-Vent. Nous avons pu participer, en collaboration avec la Diren Polynésie et l'agence NOAA du gouvernement des Etats-Unis, à une grande étude régionale sur la génétique des populations de tortues vertes dans le Pacifique Sud, ainsi que le marquage et l'identification par puce électronique de dizaines de tortues vertes.
Education à l'environnement
Nous sommes impliqués dans l'éducation et la sensibilisation des populations locales, notamment grâce à certains professeurs membres de l'association. Nous tenons à impliquer les jeunes à la conservation de leur patrimoine naturel et éveiller les consciences sur les sujets de braconnage. Chaque année, des centaines d'enfants sont sensibilisés aux tortues marines ainsi qu'aux problèmes de pollution des lagons.
Soutiens financiers
De par sa situation géographique, les coûts logistiques et techniques en Polynésie deviennent vite astronomiques. Les coûts d'acheminements de supports pédagogiques, de matériels scientifiques ou de personnel sont une large partie des dépenses. Nous sommes également investi au Sri lanka qui a subi le Tsunami de 2004, où nous soutenons un centre de soins notamment au maintien des sites de pontes et l'élevage de juvéniles.
Braconnage de tortue verte
Les tortues vertes (Chelonia mydas) sont gravement menacées par le braconnage en Polynésie Française. En effet, chaque année des dizaines de tortues adultes venant pondre sur les rares sites polynésiens, comme les atolls de Scilly ou Mopelia, sont massacrées à des fins mercantiles. Les tortues sont consommées pour leur chair et non pour leurs œufs, ce qui reste une pratique illégale, les tortues marines étant protégées en Polynésie Française. Le lent cycle de reproduction des tortues ne leur permettent pas de faire face à cette pression humaine et peut mener à court terme cette espèce à l'extinction. Il serait dommage que les générations futures ne puissent voir ces animaux pourtant sacrés. Nous sommes témoins de ce phénomène et avons sauvés plusieurs 10è d'animaux depuis 2005.
Photos: S. Goutenègre/ Service des Douanes Polynésie Française.
Soutien d'un centre au Sri Lanka
Directement impacté par le tsunami de 2004, le Sri Lanka a subi de plein fouet la destruction de ses sites de pontes de tortues marines. Nous soutenons financièrement le centre Kosgoda sur la plage de Benthota, qui fait un travail remarquable de conservation, en protégeant les nids des différentes espèces présentes, comme la tortue verte, imbriquée, caouane et parfois l'Olivâtre. Le centre fait incuber in situ plusieurs nids afin de donner une meilleure chance de survie aux nouveaux-nés. Il fait également un gros travail pédagogique au niveau locale et recueille des tortues blessées. Ce pays ayant peu de moyen pour la conservation, il est vitale pour l'avenir des tortues marines de continuer à soutenir ces efforts.
Photo: S. Goutenègre
Sauvegarde des éléphants d'Asie et d'Afrique
Défense: Wildlife Conservation Projects est investi dans l'étude, la protection et la conservation des éléphants au Sri Lanka et au Kenya. Ces animaux emblématiques qui nous fascine tous, sont toujours menacés pour plusieurs raisons: Que ce soit pour le braconnage de leurs défenses en Afrique, les conflits hommes/éléphants sur les territoires cultivés, la fragmentation de leurs territoires, ou encore l'empoisonnement des points d'eaux. Le plus emblématique et majestueux étant l'éléphant d'Afrique (avec 3 sous espèces: l'éléphant de brousse rencontré au Kenya, du désert en Namibie et de forêt en Côte d'Ivoire). Le plus menacé étant l'éléphants d'Asie (avec au moins 3 sous espèces: le plus grand en Inde et au Sri lanka, le plus petit à Sumatra). Leurs comportements fascinants et leur intelligence font que l'on peut s'identifier facilement à ces animaux. Nous sommes investis dans l'éducation auprès des scolaires en Métropoles afin de sensibiliser les plus jeunes sur le braconnage.
Soutien financier
Grâce à vos dons, nous soutenons financièrement deux orphelinats : un au Kenya et un au Sri Lanka. Le soin et l'élevage de ces mastodontes requière de gros moyens. Nous soutenons la Sheldrick Wildlife Trust pour son travail de terrain reconnu et efficace, notamment avec son unité de réintroduction d'orphelins, unité vétérinaire qui intervient sur des blessures de la faune sauvage (empoisonnement par flèche, pièges, animaux en détresse), et son unité anti- braconnage.
Aide vétérinaire
Nous apportons notre aide en soins vétérinaires auprès de l'orphelinat de Pinnawela au Sri Lanka, qui accueille près de 80 individus. Chaque année, nous sommes intégrés à l'équipe sri lankaise, notamment comme soigneur, pour le maintien dans de bonnes conditions sanitaires des hardes et notamment des grands mâles.
Etude des populations au Sri Lanka
Depuis 2016, nous avons entrepris un recensement de la population qui peuple le parc national de Mineriya. Ce site magnifique est un des plus gros réservoir d'eau de la région où une faune abondante se retrouve lors de la saison sèche. Près de 116 individus ont été recensés. Le Sri Lanka détient la plus grosse densité d'éléphants d'Asie. Nous étudions notamment le comportement des animaux et l'impact du tourisme.
Education à l'environnement
L'association a pour priorité la sensibilisation du grand public et notamment des plus jeunes sur les questions de braconnage et la préservation des espèces. Nous intervenons dans les écoles maternelles et primaires, en mettant en place des ateliers avec les professeurs des écoles pour présenter aux élèves entre autre, des morceaux de défenses issus des stocks d'Etat.
Le fléau du braconnage au Kenya
Ce fléau qui dure depuis les années 70, ne cesse de faire pression sur les populations d'éléphants surtout en Afrique. Bien que protégés par la CITES, les éléphants sont toujours la cible du braconnage pour leurs défenses. Chaque année entre 20 000 et 30 000 éléphants sont abattus. Bien que les pays européens aient interdit l'importation d'ivoire, la France ayant même détruit ses stocks d'Etat, il en est tout autre en Asie. La Chine et la plupart des pays d'Asie, furent très friands d'ivoire pendant des décennies. Le Kenya a pour l'exemple récemment détruit ses stocks d'ivoire afin de ne plus cautionner ce trafic. Les méthodes barbares vont de la chasse au fusil, à l'empoisonnement des points d'eau, les pièges au fils barbelés ou encore les flèches empoissonnées. La tête des animaux est littéralement tronçonnée afin de récupérer les défenses. De plus, certains pays cautionnent la chasse aux trophées où les riches étrangers s'adonnent à leur "sport" favoris dans des "réserves" prévues à cet effet (sous prétexte de financer la conservation!)... En 2021, le Botswana a autorisé l'abattage de plus de 280 éléphants. Les grands mâles étant les plus prisés, ils sont pourtant des piliers génétiques pour l'espèce. La perte de ces individus est catastrophique. En 2021, la CITES a classé l'éléphant de forêt comme espèce en danger critique d'extinction. Le problème n'est donc toujours pas résolu...
Photo: Mia Collis
Les orphelinats:
des humains comme mère de substitution...
Les éléphants étant des animaux grégaires, ils sont incapables de vivre seuls. Quand leur mère ou leur groupe est décimé par le braconnage, une course contre la montre est engagée pour sauver les orphelins. Au Kenya et au Sri Lanka, il existe des orphelinats afin d'offrir à ces orphelins un nouveau départ. Ils sont élevés par l'Homme avec plusieurs biberons par jour et intégrés dans des groupes dans le but de les réintroduire dans leur milieu. C'est un travail de plusieurs décennies qui demande une dévotion totale. Ces programmes que nous soutenons financièrement ont fait leurs preuves depuis des années et ont vu ces orphelins devenir parents à leurs tours, venant souvent rendre visite à leurs protecteurs. Ce travail de conservation est primordiale pour maintenir les populations.
Photo : Sheldrick Wildlife Trust
Etude et Sauvegarde des tamarins in situ et ex situ
De la famille des Callitrichidés, les tamarins sont des petits singes d'Amérique du Sud menacés par la déforestation ou par le trafic d'animaux de compagnie. Ces primates ont la particularité de donner naissance à des jumeaux qui sont majoritairement élevés par le père et le reste de la famille! Nous focalisons nos actions de conservation principalement sur 3 espèces: le tamarin lion doré dont il reste moins de 3000 individus à l'état sauvage, le lion à tête doré du Brésil et le tamarin pinché en voie critique d'extinction en Colombie. Nous finançons des programmes de conservation in situ pour ces espèces et menons nos propres études avec des experts du Muséum National d'Histoire Naturelle.
Etudes
Nous étudions avec des experts du Muséum National d'Histoire Naturelle les vocalises des tamarins lion doré et tamarin lion à tête dorée, ainsi que leurs comportements, notamment avec les nouveaux-nés ex situ et in situ.
Lutte contre le braconnage
Nous constatons depuis plusieurs années, une recrudescence des actes de braconnage en France, au sein des parcs zoologiques, qui alimentent un marché de collectionneurs ou de particuliers. Ces espèces étant classées en danger, il est interdit d'en détenir sans autorisation, ou d'en faire commerce. Nous apportons systématiquement notre aide par notre expertise lors d'affaire de ce type, afin d'aider la justice à démanteler ces réseaux.
Financement
Nous participons aux financements de programmes de conservation in situ au Brésil avec nos partenaires AMLD et BioBrazil pour les lions doré et à tête dorée, ainsi que le "Proyecto titi" en Colombie pour la sauvegarde du tamarin pinché. Nous aidons à la reforestation de la forêt Mata Atlanticà. Fin 2020, 30% de la population de tamarin lion doré fut décimée par la fièvre jaune. Une vaste campagne de vaccination fut mise en place par nos partenaires locaux. Vous pouvez aider en faisant un don!
Education à l'environnement.
Dans le cadre de notre mission d'éducation et de sensibilisation, nous travaillons avec les établissements scolaires pour faire connaître les tamarins auprès des élèves. Nous organisons chaque année en partenariat avec le Muséum National d'Histoire Naturelle la journée mondiale du tamarin lion doré le 02 Août, à la Ménagerie du jardin des plantes, à Paris.
Braconnage
Les tamarins ont toujours fait l'objet de trafic au Brésil comme animaux de compagnie. Ils n'en sont évidemment pas! Ces animaux aux mœurs grégaires sont faits pour vivre en groupe familiaux et sont très sensibles au stress. Ces dernières années, en France, nous constatons une recrudescence de vols de tamarins au sein des parcs zoologiques ou de structures privées. L'association mène des actions en justice afin de se porter partie civile, apporter son expertise sur ces espèces et participer au démantèlement de réseaux.
Photo: Graig Chaddock
Connecter les fôrets pour que perdure l'espèce!
Au Brésil, la forêt Mata Atlanticà est constamment détruite et remodelée notamment pour la culture du soja ou du cacao. Il ne subsiste que 8% de la forêt d'origine, unique habitat des 4 espèces de tamarins lion. Nous participons au financement de couloirs de reforestation auprès de nos partenaires locaux, dans le but de relier des parties de forêts entre elles, afin d'éviter l'isolement génétique des populations de tamarins. Il en va de même en Colombie, avec la reforestation des territoires du tamarin pinché.
Photo: E. Baril
Projet orques en Polynésie française
Des habituées du grand froid sous les tropiques...
Les orques, également appelées à tort baleines tueuses, sont des cétacés de la famille des Odontocètes. Elles fascinent autant qu'elles effraient de part leur taille et leur intelligence. Ces cétacés reconnaissables entre tous, peuplent la quasi totalité des océans, elles sont notamment présentes dans les eaux chaudes du Pacifique Sud où nous les recensons dans les eaux de Bora Bora, en Polynésie française. Depuis 2017, nous avons entrepris un recensement avec nos partenaires locaux pour mieux connaitre la biologie de ces espèces dans le Pacifique Sud..
Suivi à l'état sauvage
Contrairement à l'étude d'animaux captifs, le défi de suivre des populations sauvages est tout autre, notamment sur un territoire grand comme l'Europe. Nos partenaires (pêcheurs, prestataires d'activités nautiques) sont en mer 365 jours par an afin d'obtenir un témoignage et un recensement fiable.
Alimentation
De part nos observations et les témoignages de pêcheurs, nous avons pu recenser certaines preuves alimentaires, notamment par le reste d'une baleine de Cuvier qu'un pod de 9 individus se partageaient, mais également la chasse dans des bancs de thons aux abords des îles de Maupiti et Moorea.
Photo-identification
La photo-identification des individus est important afin d'effectuer un suivi des groupes. Les nageoires dorsales et caudales nous permettent une identification qui alimente une banque de données photographiques. Ces données sont enregistrées à l'Inventaire National du Patrimoine Naturel (INPN) géré par le Muséum National d'Histoire Naturelle, en vue de publications scientifiques.
Culture et éducation à l'environnement
Nous sensibilisons les scolaires en Métropole et en Polynésie sur ces animaux emblématiques à la fausse mauvaise réputation. Leur intelligence, semblable à la nôtre, nous permet d'éduquer les plus jeunes sur le fait que les orques comme les humains ont différentes cultures en fonction de l'endroit où elles vivent. Il s'agit, avec les grands singes, d'une des rares espèces animales dont la "culture" est prouvée.
Mieux connaître pour protéger
La biologie des orques dans les eaux tropicales du Pacifique Sud est assez mal connue, notamment sur leurs habitudes alimentaires et la fréquence de fréquentation dans les Iles-Sous-Le-Vent. Nous avons pu constater, grâce à plusieurs mises à l'eau de nos observateurs, qu'elles ne présentent aucune agressivité envers l'Homme. Aller à la rencontre de ces animaux dans la nature est souvent un rêve pour beaucoup, cela reste possible à Bora Bora sous certaines conditions d'approches, notamment avec notre expert en cétacés Simon et Tohora Bora Bora. La Polynésie française est classée sanctuaire pour cétacés, les orques y sont donc protégées!
Photo: S. Censier/ Tohora Bora Bora
Une fréquentation en hausse à Bora Bora!
La rencontre de ces animaux a toujours été anecdotique et rare en Polynésie, on a pu en voir jusqu'au Tuamotu et aux Marquises. Cependant depuis 2017, elles sont rencontrées de plus en plus fréquemment dans les eaux de Bora Bora, notamment par les pêcheurs à bord de leur Poti marara, souvent en pleine chasse dans un banc de thons. Une mise à l'eau fut possible avec une famille de 9 individus en 2019, rapportant les premières images sous marines par notre observateur local Simon, de Tohora Bora Bora. Début 2021, nous avons pu faire des recensements jusqu'à l'île voisine de Maupiti! Fin 2021, un groupe était aperçu aux abords de l'aéroport de Bora Bora.
Photos / vidéo : S. Censier/ Tohora Bora Bora
Vautours fauve et vautours Percnoptère, des géants discrets au pays basque!
Ces nécrophages mal aimés et méconnus du grand public sont pourtant utiles et jouent un rôle majeur dans l'écosystème. De retour en France depuis plusieurs décennies, le vautour fauve a pourtant bien failli disparaître. Avec ses 2.80 m d'envergure, il plane au dessus des paysages préservés du Pays Basque. Nous suivons une colonie au Pays Basque et recensons les naissances depuis 2019. Le vautour Percnoptère, unique rapace migrateur français hivernant en Afrique de l'Ouest, est également présent au Pays Basque mais beaucoup plus rare. Nous recensons ces animaux majestueux en collaboration avec l'association Saiak. Plusieurs de nos membres sont experts en rapaces, notamment dans l'élevage, au sein du Muséum National d'Histoire Naturelle.
Un retour gagnant du vautour fauve
Dans les année 60, la population de vautour fauve au niveau national avait drastiquement chuté avec moins de 60 individus. L'espèce est considéré comme menacée, bien qu'aujourd'hui ses effectifs aient nettement regonflés, notamment grâce à un vaste plan de réintroduction dans les Grand Causses, le Vercor, la Drôme et les Pyrénées. En 2007, selon la LPO, on comptait 850 couples nicheurs en France dont 580 dans les Pyrénées (en léger déclin). Le suivi des colonies et notamment des naissances est indispensable pour maintenir l'espèce, qui a su reconquérir son territoire.
Le percnoptère en sursit
Ce timide vautour, unique rapace migrateur en France, doit être plus largement connu du grand public pour sa fascinante capacité a utiliser des outils (peu d'animaux en sont capables). Sa population en France tend à se maintenir avec environs 90 couples, ce qui n'est pas forcément le cas dans d'autres pays européens comme à l'Est ou les populations de Grèce ou Bulgarie chutes dangereusement dû principalement à des empoisonnements. Son suivi au pays basque est nécessaire pour la préservation de l'espèce, encore en sursit.
Le pays basque, une région refuge
Le pays basque est une région connue des ornithologues pour être un couloir important de migration pour beaucoup d'oiseaux migrant vers l'Afrique de l'Ouest (cigognes, grues, rapaces, palombes...). Sa tradition pastorale, ses paysages préservés, avec une altitude moyenne, sont des sites appropriés pour la reconquête du vautour fauve et du vautour percnoptère, pouvant ainsi se disperser dans les Pyrénées. Des vautours percnoptère ont été équipés de balise GPS et relâchés depuis le pays basque, dans le cadre du Plan National d'Actions.
Éduquer et sensibiliser sur ces mal aimés
Les vautours sont encore aujourd'hui souvent mal considérés, traînant derrière eux de fausses rumeurs (nous vous confirmons qu'un vautour est incapable d'emporter des enfants pour les dévorer...). Il y a donc un énorme travail de sensibilisation à faire avec le grand public pour notamment faire comprendre son rôle majeur dans notre écosystème. Important également que les populations locales s'investissent dans l'observation et la protection de ces espèces historiquement présentes.
Les gardiens de nos montagnes
Le fort pastoralisme, traditionnel au pays basque, permet de maintenir les populations de vautours fauve. En effet, sans l'aide de l'Homme pour maintenir cette espèce, sa survie pourrait être compromise. Les vautours fauve ont reconquis leur territoire et sont à présent bien implantés au pays basque. Un succès pour cette espèce locale, la France étant un des rares pays au monde a voir sa population de vautour augmenter. Il existe toujours des menaces: le dérangement par des randonneurs, les tirs de chasse, les lignes à hautes tensions qui cause de graves blessures à ces géants des airs. Leur rôle est essentiel pour une bonne santé de nos montagnes, ils doivent être respectés! Nous nous efforçons de sensibiliser petits et grands sur le rôle des vautours dans nos paysages. Sur cette photo, on peut observer des adultes au cou blanc et des juvéniles au cou marron. Ils peuvent vivre jusqu'à 40 ans!
Photo: J.C Rivas
Le Percnoptère, une timide implantation.
D'une taille plus petite que le vautour fauve, le percnoptère arrive en fin de chaîne alimentaire et vient finir les carcasses avec son bec plus fin, car incapable de déchiqueter le cuir. Ce fascinant rapace a la capacité d'utiliser des outils (petites pierres) pour casser des œufs d'autruche! Avec son look punk, sa crête à l'arrière du crâne, et son faciès jaune, il est facilement identifiable. La population française est plutôt stable et compte près de 90 couples dont 14 au pays basque. Son implantation au pays basque est timide mais doit être consolidée et protégée pour assurer à l'espèce sa survie future. Nous sommes impliqués dans le PNA et assistons l'association Saiak pour le recensement des adultes et la surveillance des sites. Les membres de l'association ont, a titre professionnel au sein du Muséum National d'Histoire Naturelle, élevé des oisillons et permis un relâché et une ré-introduction avec succès en Bulgarie.
Photo: S. Goutenègre/ MNHN/ E. Baril/ D. Fajardo/ JC. Rivas
Projet singe nasique à Bornéo
Un singe unique en son genre et endémique!
Le singe nasique (Nasalis larvatus), reconnaissable entre tous avec son gros nez, est une espèce endémique et menacée de l'île de Bornéo et un des plus grands singes d'Asie. Nous avons entrepris de suivre une population en Malaisie au sein du parc national Bako, recensée en 2016. Nous menons plusieurs études, notamment inspirées par des recherches d'une équipe allemande de l'université de Hanovre et le Muséum National d'Histoire Naturelle, sur les vocalises, les parasites ou encore l'impact du tourisme sur cette population. Le fléau de la déforestation sur l'île de Bornéo met en grave péril les populations de singes nasiques, tout comme le reste de la faune sauvage (Orang outan, panthère nébuleuse, calao rhinocéros...).
Un singe emblématique de Bornéo
Unique représentant du genre Nasalis, le nasique est endémique à l'île de Bornéo. Son alimentation exclusivement végétarienne lui permet de manger des espèces non comestible qu'il peut digérer grâce à des puissantes bactéries dans son estomac. A l'inverse, de simples fruits peuvent lui être fatale... Contrairement à d'autres espèces de singes, cette particularité alimentaire ne permet pas de l'élever en captivité. Son habitat doit être préservé si on ne veut pas le voir disparaître.
Un habitat menacé
L'habitat du nasique est de plus en plus menacé. Vivant principalement dans les forêts côtières et des mangroves de Bornéo, il est de moins en moins présent en Malaisie où seul 20% de la forêt subsiste... Côté indonésien, ce n'est guère mieux! Rien qu'en 2016 près de deux millions d'hectares sont partis en fumée. Depuis les années 70, la forêt a reculé de près de 30 %... La déforestation menace aujourd'hui des populations de nasiques autrefois isolées et reculées.
Des facultés uniques
C'est un des rares singes à pouvoir se déplacer en station debout. Il est très agile dans la canopée et est capable de faire de grands sauts pour se déplacer d'arbre en arbre. En cas de danger, il peut sauter à l'eau car il affectionne les zones de mangroves! Ses pieds légèrement palmés lui permettent de nager.
Sensibiliser sur l'huile de palme
L'huile de palme... tout le monde en entend parler. C'est pourtant la cause de la destruction des forêts de Bornéo et qui menace directement la faune locale. Cette huile bon marché, permet le développement de la Malaisie et de l'Indonésie et permet aux populations d'en vivre. Elle est utilisée dans le monde entier dans l'agro alimentaire pour la confection de biscuits et autre pâte à tartiner. En Europe, les industriels commencent à jouer le jeux et proposent des produits sans huile de palme. A nous consommateurs de prendre conscience de l'impact de nos habitudes de consommation.
Parc national de Bako, Malaisie
Ce parc national situé dans la province du Sarawak en Malaisie est un havre de paix pour les singes nasiques. On peut y rencontrer également des macaques et diverses espèces de serpents. La topographie de ce parc présente divers paysages: de la forêt plongeant directement dans la mer, à des côtes bordées de mangroves, aux hauts plateaux de végétations sèches. On y trouve également de larges plages idylliques. Ce site préservé est géré par la Sarawak Forestry Corporation avec qui nous collaborons pour l'étude de ces primates menacés.
Photos: S. Goutenègre
Un étrange attribut
Ce singe de la famille des Cercopithécidés, de taille assez grande et aux couleurs blondes à rousses et à la queue blanche, est classé en danger selon l'UICN. Il en resterait moins de 7000. Arboricole et végétarien, il peut sauter d'arbre en arbre avec agilité. Il vit près des mangroves et est capable de sauter à l'eau et nager. Il vit en harem d'une dizaine d'individus mené par un mâle dominant. Les mâles de cette espèce ont la particularité d'avoir un nez assez imposant. En effet, les mâles arborant les plus grands nezs sont considérés par les femelles comme les plus beaux! En plus de cet atout de séduction, l'appendice nasale sert de caisse de résonance pour amplifier ses cris.
Photo: M. Grévin
Projet coraux/ ReefCheck en Polynésie française
Etat des lieux et surveillance des récifs coralliens.
Les récifs coralliens sont les seules structures animales visibles depuis l'espace! Les coraux, à l'instar des forêts, sont la base de la vie marine. Ils sont les poumons, un oasis de vie, au milieu des océans où bon nombre d'espèces dépendent d'eux pour survivre. Ils servent de nurserie au poissons, de garde manger pour les tortues et les requins, sont une barrière naturelle de protection des lagons contre les phénomènes climatiques violents du type cyclone. Ils sont aujourd'hui menacés par le réchauffement climatique, la hausse des températures des océans, l'acidité des eaux, les phénomènes cycloniques de plus en plus fréquents, mais également la destruction directe par l'activité humaine. L'association, via notre antenne locale Chelonia Polynesia, oeuvre sur le terrain à la protection des récifs coralliens en participant au réseau mondiale ReefCheck, pour l'étude et la surveillance des récifs, elle coordonne le réseau aux Iles-Sous-Le-Vent, en Polynésie.
Le réseau ReefCheck
Qi'est ce que le Reef Check? C'est un organisme mondial et national oeuvrant pour la surveillance et le suivi scientifique des coraux. En France, le réseau est intégré au Plan d'Actions de l'IFRECOR. Reef Check forme ses membres, dont nous faisons partie, avec une méthode mondiale standardisée accessible à tous. En 2022, Reef Check France nous a confié le suivi de plusieurs îles en Polynésie comme : Bora Bora, Tahaa, Raiatea, Tupai, Maupiti et Mopelia dont cette dernière est difficile d'accès.
Les différents sites coralliens
Les différents sites sont appelés stations. Les coraux se développant aussi bien dans les lagons que dans l'océan, il existe plusieurs points de relevés : le récif frangeant, le récif barrière et la pente externe dans l'océan. Comptant parmi nos membres des plongeurs confirmés et ayant une bonne connaissance du terrain, nous mettons un point d'honneur à surveiller les pentes externes, les plus menacées par les cyclones, aussi bien que les lagons et leurs jardins de coraux soumis aux activités touristiques.
Santé du récif
Les récifs coralliens abritent 30% de la biodiversité marine. Il est donc important de suivre leurs évolutions. En Polynésie, de part son éloignement géographique et la répartition de ses 118 îles et atolls, on peut dire que les coraux sont en bonne santé. La grande majorité des espèces rencontrées sont des coraux durs (type Acropora). Les Ïles-Sous-Le-Vent ont connu en 2010 un cyclone ravageur, Oli. Les coraux ont payé un lourd tribu de cette catastrophe. En 2021, les coraux ont retrouvé leurs splendeurs et reconquis les sites où ils furent ravagés.
Sensibiliser le public et les scolaires
Depuis 2005, le président de l'association et les membres implantés à Bora Bora sensibilisent les populations locales et touristiques sur la protection des tortues marines et des récifs coralliens. Nous participons notamment à la journée des océans en organisant des campagnes de nettoyage du lagon ou des platiers, sensibilisons les scolaires sur l'importance de préserver leur héritage. Nous sensibilisons les pêcheurs et utilisateurs du lagon sur l'Acanthaster, l'étoile de mer dévoreuse de corail.
Un trésor vivant a préserver
Il n'y a rien de plus beau que de parcourir un jardin de corail flamboyant et grouillant de vie. Les coraux ont une croissance lente, cassent facilement et sont très sensibles à la pollution et aux eaux trop chaudes. Un nombre incalculable d'espèces marines en dépendent : les requins y trouvent leur nourriture, les tortues y dorment, les raies manta vont sur des stations de nettoyage, et une armée de poissons et de crustacés entretiennent ces récifs et y dorment. Un récif corallien mort, c'est toute cette biodiversité qui va avec, qui disparaît. Mais qu'est ce que le corail? C'est un animal et non une plante. Il se compose d'un squelette calcaire abritant des polypes colonisés par des micro algues qui donnent leurs couleurs chatoyantes. Ces polypes se nourrissent de micro organismes comme le plancton, qu'ils attrapent avec leurs mini tentacules. Quand ces polypes meurent, le corail blanchit, il ne reste alors que le squelette. Dans le récif, les coraux rentrent en compétition avec les éponges. Il existe différentes espèces de coraux durs et coraux mous, de formes et de couleurs variées, comme les Acroporas, le corail cerveau, les tabulaires...
Photos : S. Goutenègre
Agir face aux défits...
Les menaces qui pèsent sur les récifs coralliens sont nombreuses. Tout d'abord les menaces naturelles, comme les cyclones qui ravagent tout sur leur passage, les armées d'Acanthaster, une étoile de mer aux piquants venimeux qui dévore tout un récif en une nuit! La hausse des températures peut faire stressser et blanchir le corail. Les menaces humaines directes sont variées : les plaisanciers qui jettent leur ancre sur les récifs et arrachent les coraux, les crèmes solaires qui les tuent, les snorkelers et plongeurs qui touchent ou s'agrippent aux récifs, la pollution plastique et les filets de pêche qui s'accrochent aux coraux, les touristes qui marchent sur les récifs, le dégazage sauvage... Tout cela relève du bon sens, mais il reste encore beaucoup à faire pour sensibilier un large public et protéger efficacement les récifs. Il existe des solutions : la création d'aires marines protégées qui interdisent ou limitent les activités humaines, également le bouturage. Comme pour les plantes, ont peut "cultiver" le corail afin de le faire grandir pour le ré-implanter sur des sites abimés.
Photos : S. Goutenègre
Projet Flamants rose du Sud Ouest
Ces oiseaux migrateurs emblématiques, nouveaux venus dans le Sud Ouest?
Les flamants rose ont toujours fasciné l'Homme. Il existe six espèces de flamants rose, quatre vivent en Amérique du Sud et deux réparties en Afrique, Europe et Asie. Ils migrent en groupe de leurs vols gracieux. En France, bien connus pour leur résidence en Camargue, les voilà fraîchement débarqués dans les Landes, endroit inhabituel! Rarement observé dans cette région, ils ont élus domicile fin 2021 dans le marais d'Orx à la frontière du pays basque et des Landes. L'association, en coopération avec la Réserve nationale du marais d'Orx, a entrepris un recensement et un suivi de cette colonie afin de mieux comprendre leur migration et leur implantation dans la région. Nos équipes ont une longue expérience d'élevage sur les flamants à titre professionnel au sein du Muséum National d'Histoire Naturelle.
Un nouveau site préservé pour les flamants!
Le marais d'Orx est une réserve nationale située entre le pays basque et les Landes. Ce site classé depuis 1995 et site Natura 2000 est la propriété du Conservatoire du littoral. Il offre une grande diversité d'oiseaux en partie migrateurs. Composé d'une mosaïque de milieux allant de la roselière, au marais, à la prairie, ce site est le refuge d'une grande population d'oiseaux de près de 247 espèces. Les flamants y ont trouvé un nouveau site de nourrissage!
http://www.reserve-naturelle-marais-orx.fr/fr/un-site-ornithologique-majeur.html
Une nouevlle population dans le Sud Ouest?
Les flamants rose sont historiquement présents en France dans le Sud Est, particulièrement en Camargue et en nombre. Rien d'exceptionnel jusque là. La récente présence enregistrée dans le Sud Ouest d'un groupe de 21 jeunes individus, non bagués, ayant élu domicile dans la réserve du Marais d'Orx soulève plusieurs questions. Conséquence du réchauffement climatique? Ce site n'avait jamais accueilli de groupe jusqu'en 2021. Ce plan d'eau offre visiblement tout ce dont les flamants ont besoin pour leur épanouissement.
Sensibilsation du public
La réserve du marais d'Orx est un site du Conservatoire du Littoral qui accueille du public. L'aménagement du site, pensé pour déranger le moins possible les oiseaux, est propice aux observations pour les passionnés d'ornithologie. Il est également un site privilégié pour sensibiliser les scolaires et le grand public sur notre impact environnementale et sur la préservation des milieux humides qui ont une importance pour la biodiversité. L'association œuvre à sensibiliser le plus grand nombre sur ce sujet.
Identifier les individus
Les flamants rose ont une grande espérance de vie, jusqu'à 40 ans à l'état sauvage et jusqu'à 60 ans en captivité. Il est important d'étudier leur population, notamment ce groupe de jeunes récemment implantés, afin d'avoir des données fiables sur l'évolution de cette colonie dans le temps. Le baguage, le sexage, l'étude de leur ADN, la formation des couples, ces données que nous étudions peuvent aider les gestionnaires de la réserve à comprendre leur biologie et à maintenir de bonnes conditions environnementales pour accueillir ces oiseaux chaque année.
Comportements et reproduction
Les flamants rose sont des animaux migrateurs grégaires. Certaines populations peuvent être résidentes. Ces oiseaux élégants sont des animaux filtreurs, se nourrissant de micro organismes qu'ils filtrent à travers leur bec incurvé. Ils piétinent la vase avec leurs pattes palmées de façon à soulever les nutriments dans les eaux stagnantes. Ayant une longue espérance de vie (jusqu'à 40 ans), les couples ne sont pas forcément fidèles à vie. Tous les ans, ils paradent en ballet synchronisé, en balançant la tête de gauche à droite pour renforcer leurs liens. Plusieurs postures sont décrites pour communiquer entre eux. Leurs liens sociaux sont très complexes. Certains peuvent se quereller au sein du groupe, mais cela reste très bref, et d'autres développer de longues amitiés. Un flamant seul et isolé, dépéri et ne saurait survivre sans son groupe. Les parents construisent un nid rudimentaire en forme de dôme, fait d'un mélange de vase et de boue dans un milieu saumâtre à salé. Le couple produit un œuf unique à la texture crayeuse, qu'il couve à tour de rôle. A la naissance, l'oisillon est recouvert d'un duvet blanc avec un bec droit et des pattes souvent disproportionnées. Les juvéniles se retrouvent souvent entre eux, formant une crèche où les parents les nourrissent et les reconnaissent grâce à leur chant unique. Il est décrit et prouvé qu'il existe des couples homosexuels.
Photos JC Rivas : Marais d'Orx
Photos et vidéo S. Goutenègre/ MNHN : Oeufs et poussins
Pigmentation... mais pourquoi rose?
Il existe en réalité six espèces de flamants, qui ne sont pas naturellement rose, ils le deviennent ! Leurs pigmentations va du blanc, en passant par le rose pâle et jusqu'au rouge vif pour le flamant de Cuba. Les juvéniles sont blancs à gris, tout comme leurs pâtes, leur bec et leurs yeux qui changeront de couleur à l'âge adulte. La pigmentation de leur plumage est en fait déterminée par leur alimentation! En effet, les flamants passent une bonne partie de leur temps à filtrer l'eau à la recherche de nourriture dans des eaux saumâtres à salées. La couleur rose est déterminée par la caroténoïde fixée sur des micro algues et crevettes que les flamants ingèrent. Ces pygments se fixent alors sur leur peau et leurs plumes. Sur cette vidéo prise au marais d'Orx, on peut observer des juvéniles filtrant l'eau à la recherche de nourriture.
Vidéo/ photos : JC Rivas Marais d'Orx.
Photos flamants rouge avec juvéniles: S. Goutenègre/ MNHN
Illustration bec : Nicola Primola
Projet lori ultramarin en Polynésie française
Un oiseau endémique et en danger critique d'extinction aux Marquises...
Appelé localement Vini, ce petit lori (vini ultramarina) endémique en Polynésie, a vu ses effectifs chuter dans tous les archipels où il était présent pour se cantonner aujourd'hui aux Marquises et plus particulièrement sur l'île de Ua Huka. Classé en Annexe I de la CITES et en danger critique d'extinction selon l'UICN. Des programmes d'élevage et de réintroduction ont vu le jour dans les années 90 avec le zoo de San Diego pour qu'au final la population soit décimée par le rat noir... Il reste aujourd'hui très peu de couple et l'espèce est au bord de l'extinction. Nous soutenons financièrement la SOP Manu (Société Ornithologique de Polynésie) sur le terrain, dans ce combat contre la montre.
Une espèce en sursit
Malgré une collaboration dans les année 90 avec la Diren Polynésie et le zoo de San Diego pour la ré-introduction d'animaux captifs. Cette opération a pu être menée à bien sur l'île de Fatu Hiva avec une 30ène de couples relâchés, pour au final voir cette population décimée par le rat noir. L'unique espoir pour le vini reste l'île de Ua Huka, encore indemne du rat noir, refuge préservé où l'on compte environs 1000 couples. Dans le cadre d'un plan d'actions, un projet de translocation est à l'étude.
Des rats incontrôlables...
Les efforts pour préserver les îles polynésiennes de ce nuisible sont vains... capable de nager de motu en motu (îlot en polynésien), le rat a pu coloniser toutes les archipels du Territoire. C'est un fléau pour la conservation d'espèces endémiques comme le lori ultramarin ou le lori de Kuhl aux Australes. Il est un danger pour l'Homme également pouvant transmettre des zoonoses par l'urine.
Répertorier les couples
Des moyens financiers supplémentaires doivent être développés afin d'aider la SOP Manu sur le terrain à préserver l'habitat du lori ultramarin. Le recensement et l'inventaire de la population de lori doit pouvoir perdurer dans les vallées escarpées de l'île de Ua Huka, tout en maintenant un niveau de connaissance sur l'espèce et son habitat. A ce jour, près de 1000 couples sont recensés sur l'île de Ua Huka.
Sensibiliser les populations
La légendaire hospitalité des marquisiens et leur fierté culturelle font de ce peuple à part un pilier pour la préservation de leur patrimoine naturel. Les marquisiens se sentent investis dans la protection de leur faune locale et aident à préserver l'habitat et la tranquillité des loris ultramarin. De plus, certains jeunes sont formés pour piéger le rat noir et limiter sa prolifération. Grâce à eux, l'île de Ua Huka est indemne du rat noir.
Dernier refuge: Les Marquises
Autrefois assez répandu dans les archipels polynésiennes, le lori ultramarin a vu ses effectifs fondre comme neige au soleil dû à l'introduction du rat noir. Aujourd'hui sa population est restreinte aux îles Marquises, elles aussi colonisées par le rat noir. Encore présent au siècle dernier, ce vini a disparu des îles de Nuku Hiva, Ua pou, Tahuata, et Hiva oa. Il ne subsiste aujourd'hui que sur l'île de Ua Huka, indemne du rat noir... avec moins de 1000 couples.
Lutter contre le rat noir...
Le rat est un fléau pour bon nombre d'espèces d'oiseaux tout comme pour l'Homme en Polynésie. Il fait des ravages dans les cocoteraies et les pertes dues au cocos dévorées s'élèvent à des millions de francs pacifiques. Il est difficile de lutter contre ce nuisible. Cependant, les troncs des cocotiers sont équipés de bagues en métal afin que le rat ne puisse grimper et atteindre les noix de coco. Quand aux oiseaux, il est difficile de protéger les nids. Des pièges sont installés dans les îles afin d'en capturer un plus grand nombre. Sur Ua Huka, encore indemne de ce fléau, la SOP Manu a formé des jeunes et des pièges sont installés notamment au quai du port. Les habitants sont également impliqués pour protéger leur patrimoine naturel.






















